Case of the Day 28-11-2025

A 6 years old cat presented to us with recurrent episodes of of UTI infection.

History

Physical Examination

Laboratory findings

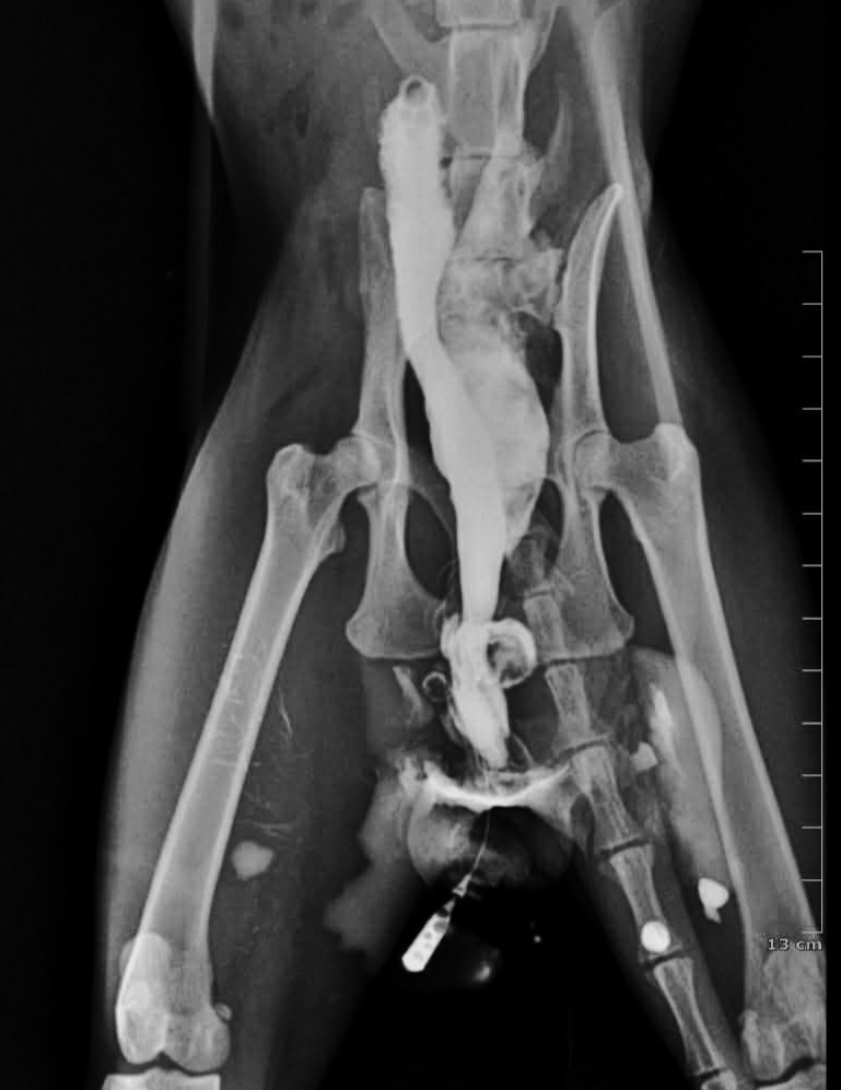
Radiographs

-Intermittent stranguria and unusual perineal moisture.

-Cat has had chronic mild urinary signs with several episodes of urinary obstruction

-Occasional soft stools, but no overt diarrhea.

- no history of trauma, normal appetite and behavior


hysical Exam

-Slight irritation and moisture around the anus.

-Abdomen: mild discomfort on caudal palpation.

-Rectal exam: normal tone; no masses.

-Penis and prepuce normal.

abnormal findings

Urinalysis:

Severe bacteriuria

Alkaline ph

CBC/chemistry:

- mild leukocytosis - Increased bun

In the light of the given radiographs, What is the most probable diagnosis ?

❌ Wrong Answer (Every attempt is a learning step )

Here's Why :

Perineal hernias typically cause:

  • Perineal swelling or bulging
  • Tenesmus
  • Difficulty defecating
  • Displacement of pelvic/abdominal organs


❌ Wrong Answer (Every attempt is a learning step )

Here's Why :

A urethral rupture usually presents with:

  • Acute onset signs
  • Severe pain
  • Subcutaneous urine leakage (uroabdomen or perineal swelling)
  • Rapid systemic deterioration

❌ Wrong Answer (Every attempt is a learning step )

Here's Why :

TCC in cats is rare and usually causes:

  • Hematuria
  • Stranguria
  • Mass effect on imaging
  • Thickened bladder wall or urethral mass

You Got it Right

Here's Why :

  • Chronic urinary signs
  • Recurrent UTI with severe bacteriuria
  • Perineal moisture
  • Anal irritation
  • Contrast study showing leakage of contrast into the rectum with abnormal communication between the urethra and the rectum

نقدم مجموعة متكاملة من خدمات تطوير الويب، تشمل تصميم وتطوير المواقع الإلكترونية، تحسين تجربة المستخدم، إنشاء متاجر إلكترونية، وتطوير تطبيقات الويب الحديثة باستخدام أحدث التقنيات مثل React و Vue و Next.js.

يمكنك التواصل معنا عبر نموذج الطلب على موقعنا، أو مراسلتنا مباشرة عبر البريد الإلكتروني أو الواتساب. سنقوم بمراجعة متطلباتك وتقديم استشارة مجانية لتحديد الحل الأمثل لمشروعك.

نعم، نوفر خدمات استشارية متخصصة لدعم الشركات الناشئة في اختيار التقنيات المناسبة، بناء البنية التحتية الرقمية، وتحليل الأداء لتحسين المنتجات والخدمات الرقمية.

نوفر عدة طرق للدفع تشمل التحويل البنكي، الدفع عبر البطاقات الائتمانية، وخيارات الدفع الرقمية مثل PayPal لضمان مرونة وسهولة المعاملات لعملائنا.

يمكنك التواصل مع فريق الدعم لدينا عبر البريد الإلكتروني أو الدردشة المباشرة على موقعنا. يتوفر الدعم الفني على مدار الساعة للإجابة على استفساراتك.

نقدم خدمات تحسين محركات البحث (SEO)، إدارة الحملات الإعلانية، التسويق عبر وسائل التواصل الاجتماعي، وتحليل الأداء الرقمي لضمان تحقيق أفضل النتائج لعلامتك التجارية.

نعم، نوفر حلولًا مخصصة للشركات الناشئة والصغيرة، تشمل التسويق عبر وسائل التواصل الاجتماعي، حملات الدفع لكل نقرة (PPC)، واستراتيجيات النمو الرقمي بتكلفة مناسبة.

يمكنك قياس نجاح حملتك عبر مؤشرات الأداء الرئيسية (KPIs) مثل عدد الزيارات، معدل التحويل، تكلفة الاكتساب، والتفاعل على وسائل التواصل الاجتماعي. نقدم تقارير دورية لمساعدتك في تحليل البيانات وتحسين الأداء.

© All Rights Reserved