Legg–Calvé–Perthes

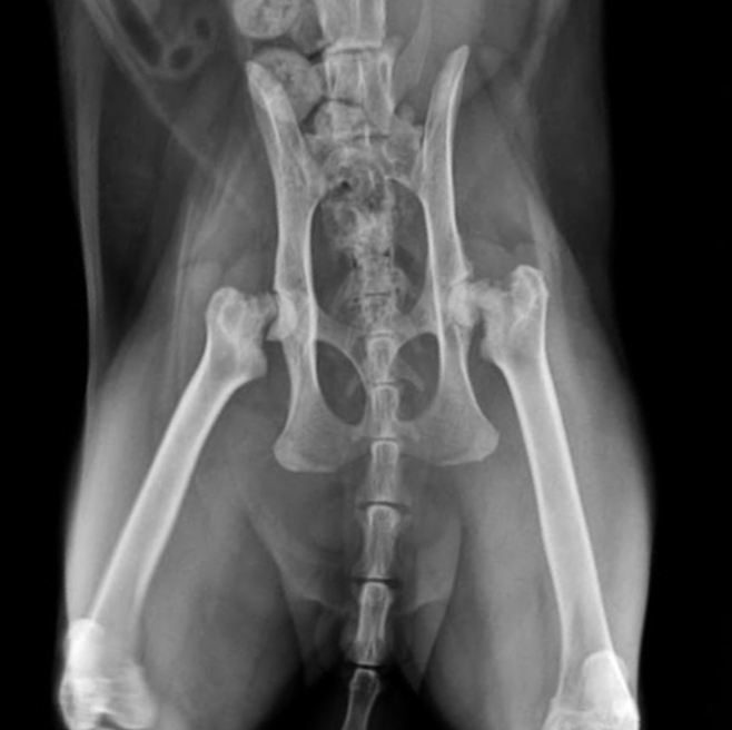
egg–Calvé–Perthes disease (LCPD) is a non-inflammatory, degenerative orthopedic disorder characterized by avascular necrosis (loss of blood supply) to the femoral head
As blood flow to the capital femoral epiphysis becomes compromised, the bone undergoes ischemic necrosis, collapse, and eventual deformation, leading to joint incongruity, pain, and lameness

LCPD is common in small-breed dogs, but it is rare in cats, with only sporadic cases reported.

Although it is very rare in cats when it occurs, it typically affects young, growing cats (under 2 years old) and may be unilateral or occasionally bilateral

History

Clinical Signs

Surgery

A 1 year old cat presented with a gradually developing hindlimb lameness.
Owner reported

  • A slow, progressive limp that worsens over weeks to months.
  • The cat becoming reluctant to jump or climb, preferring to rest.
  • Occasional vocalization or pain during movement.
  • No history of trauma
  • Lameness
  • Pain on manipulation:

Bilateral FHO was recommended starting with the most affected limb and the other to be scheduled after 3 months

Surgery

.

.

Explore Our New uploads

RECENT SURGICAL PROCEDURES

© All Rights Reserved